骨肉腫

概要

◎骨肉腫の由来

 骨肉腫は犬の骨で最も発生頻度の高い悪性腫瘍で、骨芽細胞という骨を作る細胞が変異し悪性腫瘍化したものです。

 

◎特徴

 大型犬・大型犬に多いと言われています。これは慢性的な炎症が骨芽細胞の変異に関わっているためとも言われており、体重が重いことで微小な骨折などが生じるためと考えらえています。少ないですが、小型犬や中型犬でも発生することはあります。多くが高齢(8~10歳前後)で発症しますが、骨肉腫は比較的若い年齢(2歳前後)でも発症が見られることもあります。

 約8割は四肢の骨に発生し、肩・手首・膝に近い骨で発生が多くみられます。そして約2割は頭部(顎の骨など)や体幹の骨(背骨・肋骨・骨盤など)に発生します。転移も多く、診断時には9割近くが転移していると言われています。

 

◎症状

 初期には足を挙上したり痛そうにするなど整形外科疾患と似た症状を示します。骨肉腫の場合は、痛み止めなどの治療に対して反応が乏しかったり少しずつ痛みが増す傾向にあります。また骨の破壊が進行すると骨が脆くなり病的骨折を起こす場合もあります。あまりの痛みに活動性が下がる、攻撃的になるなど性格が変わったように見えることもあります。

 

検査・診断

◎X線検査

 痛み生じている部位をX線撮影し、まずは骨折や関節炎などの整形外科疾患の有無を確認します。骨肉腫がある程度進行してる場合は、骨融解像(骨が溶けているような所見)や骨膜反応などが認められることがあります。但し画像所見のみでは確定診断に至らないため、疑われる場合には下記の検査に進みます。

【正常 レントゲン画像】

レントゲン 正常像

 

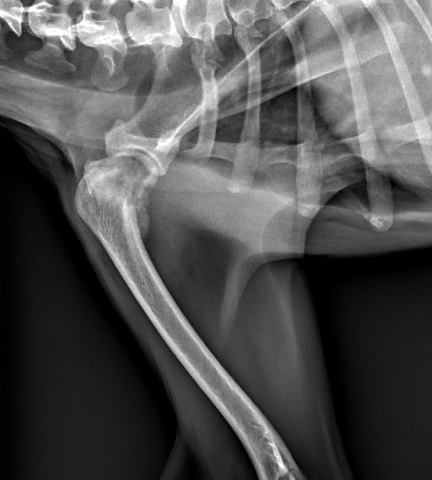
【骨肉腫 レントゲン画像】

骨肉腫 レントゲン像

 

◎超音波ガイド下の細胞診

 超音波検査で骨の脆くなっている部位に注射針を刺し、細胞を採取して顕微鏡で観察します。痛みを伴うので基本的に局所麻酔や鎮静、もしくは全身麻酔が必要です。検査精度は比較的高いといわていますが、確定診断は下記の病理組織検査と組み合わせて行います。

 

◎骨生検+病理組織学的検査

 骨髄生検針という特殊な太い針で骨組織の一部を採取して病理組織検査に提出します。強い痛みを伴うため、局所麻酔と全身麻酔下にて実施します病理組織診断は外注にて病理診断医に依頼します。

 非常に太い針で脆い骨組織を採取するのでため、骨生検によって骨折を引き起こしてしまう危険性もありますが、今後の治療方針を固めるための重要な検査です

【骨肉腫 病変部画像】

 

◎ステージング

 骨肉腫が肺、リンパ節、内臓臓器や他の骨などに転移していないかを調べます。血液検査・X線検査・超音波検査、場合によってはCT検査などを行います。もし転移を疑う所見を認めたら、その部位の細胞診などで転移の有無を確認します。転移の有無によって、治療方針は大きく変わります

 

治療

 転移の有無や発生部位などによって、下記の治療の中から適した治療方針をご提示します。

 

外科手術+術後の抗がん剤

 手術で患部を切除します。四肢に発生した場合は基本的には断脚が必要ですが、骨肉腫の発生部位によっては切除ができない場合もあります。

 抗癌治療は3週間に1回の投与で3~6ヶ月間実施します。抗がん剤の副作用としては骨髄抑制・消化器症状・心臓毒性などがみられます。手術後の抗がん剤は明らかな転移がない場合の選択肢です

最も有効性の高い治療により、延命効果(1~1年半前後)も確認されており、また1~2割くらい程度の確率で完治する可能性があります。

平均的な生存期間

1年生存率

完治率

断脚単独

約6ヶ月

10%程度

-

断脚+抗がん剤

約1-2年

40%程度

10-20%程度

 

◎緩和治療

以下、長期の延命は期待できませんが痛みの軽減やQOL向上を目的とする治療法です。

 

①外科手術のみ

 腫瘍による痛みを軽減することを目的として断脚を実施することもあります。手術は全身麻酔にて実施します。

 

②抗がん剤のみ

 痛みの緩和や腫瘍の進行を遅くする目的で使用します。消化器症状などの副作用があります。

 

③緩和的放射線治療

 照射にあたっては毎回麻酔が必要です。希望される場合には放射線治療器のある施設へご紹介致します

 

④骨融解抑制剤

 骨融解を抑制することで痛みを和らげる治療です。副作用として低Ca血症を起こす場合があります。

 

⑤抗炎症剤や痛み止めなど

 

〜断脚について〜

 断脚は動物にとってオオゴトであり、負担がある程度かかる手術です。また、ご家族の精神的ダメージも計り知れません。しかし骨肉腫による痛みは非常に強く、患部が残っている限り常に骨折しているような痛みが続きます。断脚はそうした痛みを完全に取り去るための「究極の緩和治療」です

 犬は4足歩行なので、他の足に整形外科的な異常がない限り手術した翌日から3本の足で歩行が可能であり、加えて自身の外観を人間ほど気にしません。むしろ痛みが取れて活発になることが多々みられます。断脚の選択決断は非常に重いものであり、抵抗感は強い事でしょう。しかし、状況次第では数ヶ月以上に及ぶ痛みから解放してあげられる有意義な治療です。骨肉腫という診断が下った場合は、緩和治療の1つとして選択肢の中に入れていただければ幸いです。下の動画は実際に断脚したワンちゃんの歩行している動画です。断脚して痛みをとってから活発に動くようになりました。(飼い主様のご好意で動画の許可をいただきました。)

断脚後 歩行動画

 

まとめ

 犬の骨肉腫は痛みを主訴に来院されることが多いと感じています。特定の場所を慢性的に庇っていると感じたら一度診察をお勧めします。身体検査でどこが痛いのか特定して、必要な検査を行います。結果として骨の腫瘍を疑うようであれば上記の検査に進むかご相談いたします。骨肉腫に限らず病気は早期発見・早期治療が重要です。ご自身のワンちゃんが呈する症状と似ていると思ったらまずはご相談ください。